Destacados
Últimas noticias
El ciclón Batsirai deja seis muertos en Madagascar y miles de desplazados
Al menos seis personas murieron y cerca de 48.000 han sido desplazadas en Madagascar por el paso del ciclón Batsirai, que tocó tierra la noche del sábado en esta isla del océano Índico, informó este domingo la Agencia de gestión de desastres malgache.
Incendio en la catedral donde están las cenizas de Desmond Tutu
Un incendio ocurrió el sábado por la noche en la catedral de San Jorge de Ciudad del Cabo, donde están enterradas las cenizas del héroe de la lucha contra el apartheid, el arzobispo Desmond Tutu, informó un funcionario de la iglesia.
Marruecos conmocionado por trágica muerte del "pequeño Rayan"
Marruecos estaba conmocionado el domingo, al día siguiente del descubrimiento del cuerpo sin vida del pequeño Rayan, que cayó accidentalmente en un pozo a principios de esta semana y los rescatistas no pudieron salvar, a pesar de cinco días de incesantes esfuerzos, que fueron observados por el mundo entero.
Australia urge a Birmania liberar a economista detenido por militares
La ministra australiana de Relaciones Exteriores exigió el domingo la "liberación inmediata" del economista Sean Turnell, detenido por la junta militar de Birmania desde hace un año.
Jefe de ONU espera que China permita visita de Alta Comisionada de DDHH a Xinjiang
El secretario general de la ONU, Antonio Guterres, dijo a líderes en Pekín que confía que permitan una visita "creíble" a China de la jefa de derechos humanos del organismo, Michelle Bachelet, incluyendo una parada en la convulsionada región de Xinjiang, informó su portavoz el sábado.
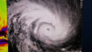
El ciclón Batsirai golpea la costa este de Madagascar, que teme "daños generalizados"
El ciclón Batsirai alcanzó el sábado la costa este de Madagascar, con rachas de viento de 235 km/h y fuertes lluvias que hacen temer "daños generalizados" según alertó el servicio meteorológico de esta gran isla del Índico.
El príncipe Andrés declarará bajo juramento por caso de agresión sexual
El príncipe Andrés prestará una declaración jurada en marzo en Londres ante los abogados de Virginia Giuffre, que le acusa de agresión sexual, dijo el sábado a la AFP una fuente cercana al hijo de la reina Isabel II.
Los test de saliva para detectar el covid-19 triunfan en Austria
En un incesante ir y venir de camiones, cientos de miles de cajas azules llegan cada día a un laboratorio de Viena, símbolo del éxito en Austria de los test de saliva para detectar el covid-19.
Vacunación obligatoria contra el coronavirus se vuelve realidad en Austria
Ya es oficial: los austriacos de más de 18 años deben, a partir del sábado, vacunarse contra el covid-19 so pena de enfrentar una fuerte multa, una medida sin precedentes en la Unión Europea.
Los rescatistas inician fase decisiva para salvar a niño caído en un pozo en Marruecos
Los equipos de rescate comenzaron el viernes la última fase, muy delicada y arriesgada, de perforación para intentar sacar con vida a un niño de cinco años que cayó en un profundo pozo en un pueblo de Marruecos, una operación que tiene en vilo al país.
Se eleva a 23 la cifra de muertos por cocaína adulterada en Argentina
La cifra de muertos en Argentina por consumo de cocaína adulterada en asentamientos cercanos a la capital federal se elevó el viernes a 23, en tanto 37 personas permanecen hospitalizadas, informó a la AFP un portavoz del Ministerio de Seguridad de la provincia de Buenos Aires.
Los rescatistas trabajan por cuarto día para salvar a niño caído en un pozo en Marruecos
Los rescatistas trabajan este viernes por cuarto día consecutivo para sacar con vida a un niño de cinco años que cayó en un pozo en un pueblo en el norte de Marruecos, una operación que tiene en vilo al país.
La ONU pide información a los talibanes por dos activistas desaparecidas
Naciones Unidas pidió a los talibanes que aporten información sobre otras dos activistas feministas supuestamente detenidas por el movimiento esta semana, elevando a cuatro el total de militantes desaparecidas este año.
"¡Basta ya!" de violencia, dice Biden en Nueva York
El presidente de Estados Unidos, Joe Biden, se rebeló este jueves contra la violencia de las armas que sacude a todo el país en un encuentro con el alcalde de Nueva York, una urbe impactada por varios homicidios, entre ellos los de dos policías.
Cocaína adulterada mata a 22 y expone la magnitud del consumo en Argentina
El tráfico y consumo de drogas en Argentina quedó expuesto con crudeza por una intoxicación masiva con cocaína adulterada que causó al menos 22 muertos en suburbios de Buenos Aires, emergencia que las autoridades consideraron este jueves "controlada".
Miles de sudaneses se manifiestan contra el golpe de Estado pese a los gases lacrimógenos
Las fuerzas de seguridad de Sudán lanzaron gases lacrimógenos para dispersar a los miles de manifestantes que salieron a la calle el jueves para reclamar justicia por las decenas de muertos tras el golpe de Estado.
Declaran culpable por "conspiración" a una dirigente de la disidencia sandinista en Nicaragua
La justicia nicaragüense declaró este miércoles culpable de "conspiración a la dirigente política Ana Margarita Vijil, en el segundo día de juicios a puertas cerradas contra más de 40 opositores al gobierno de Daniel Ortega, informó su familia.
Un enviado español visita en Perú la refinería de Repsol donde ocurrió el derrame
Un enviado del gobierno español visitó este miércoles en Perú la refinería de la petrolera hispana Repsol donde se produjo un derrame al mar de casi 12.000 barriles de crudo, el 15 de enero.
Nintendo aumenta la previsión de lucro y rebaja el pronóstico de ventas de Switch
Nintendo aumentó el jueves su previsión de beneficios gracias al fuerte rendimiento de sus últimos lanzamientos de juegos, aunque volvió a rebajar los pronósticos de ventas de su consola Switch por problemas en la cadena mundial de abastecimiento.
Nintendo aumenta previsión de lucro y rebaja pronóstico de ventas de Switch
Nintendo aumentó el jueves su previsión de beneficios gracias al fuerte rendimiento de sus últimos lanzamientos de juegos, aunque volvió a rebajar los pronósticos de ventas de su consola Switch por problemas en la cadena mundial de abastecimiento.
Cocaína adulterada deja al menos 20 muertos en Argentina
Al menos 20 personas murieron y más de 70 fueron hospitalizadas en suburbios del noroeste de Buenos Aires en una intoxicación masiva por consumir cocaína adulterada, presumiblemente con opiáceos, dijeron este miércoles fuentes oficiales.
EEUU ofrece recompensa por información sobre exjefe antidrogas de Bolivia, acusado de narcotráfico
Estados Unidos ofreció el miércoles hasta 5 millones de dólares por información que permita condenar a Maximiliano Dávila, exjefe antidrogas del gobierno del expresidente boliviano Evo Morales, acusado por un tribunal de Manhattan de enviar una tonelada de cocaína al país norteamericano.
Al menos 26 personas mueren electrocutadas en un mercado de República Democrática del Congo
Al menos 26 personas murieron electrocutadas este miércoles cuando un cable de alta tensión cayó en un canal que atravesaba un mercado al oeste de Kinshasa, informaron fuentes oficiales.
ONU busca 169 millones de dólares en ayuda para Filipinas por tifón
La ONU busca recaudar 169 millones de dólares para asistir a las víctimas del tifón Rai en Filipinas, que aún lucha por recuperarse de la devastadora tormenta, dijo el miércoles el coordinador de la organización en ese país.
El futbolista inglés Mason Greenwood queda liberado bajo control judicial
El atacante inglés del Manchester United Mason Greenwood quedó liberado el miércoles bajo control judicial, después de haber estado detenido por violación y agresión, anunció la policía.
Un museo dedicado a los NFT abre sus puertas en EEUU
Un museo dedicado a los NFT, las piezas digitales que causan furor en el mercado artístico, abrió sus puertas en Estados Unidos.
Los británicos, en busca del postre perfecto para el jubileo de platino de Isabel II
"¡Sería un gran honor!", se exclama Samantha Smith, una de los muchos británicos que se pusieron manos a la masa para crear un postre perfecto con que conmemorar los 70 años de reinado de Isabel II, objeto de un concurso popular.
Dos opositores presos son declarados "culpables" de conspiración en Nicaragua
La justicia nicaragüense declaró "culpables" de conspiración a dos opositores, en uno de los juicios abiertos a más de cuarenta personas críticas del gobierno de Daniel Ortega y detenidas el año pasado, informaron este martes organismos de derechos humanos.
Universidad de EEUU pasa a clases virtuales por amenaza de tiroteo
Una universidad de Estados Unidos tuvo que realizar sus clases en formato virtual este martes después que un exprofesor de filosofía divulgara un video que parecía amenazar con un tiroteo en el campus.
Reabren las universidades públicas afganas con algunas alumnas en clase
Universidades públicas de Afganistán reabrieron el miércoles por primera vez desde el regreso al poder de los talibanes y algunas alumnas pudieron asistir a clase, que serán no mixtas según las autoridades.
Incendios forestales amenazan los suburbios de la ciudad australiana de Perth
Dos incendios forestales fuera de control amenazaron el miércoles las vidas y hogares de la población en el estado de Australia Occidental, en momentos que un calor intenso azota al país.
Todavía necesitada de ayuda, Tonga cierra sus fronteras por casos de covid
Tonga cerrará sus fronteras el miércoles por la detección de casos de covid en este archipiélago, hasta ahora libre de infecciones, aunque ello pueda afectar la llegada de ayuda humanitaria tras la erupción volcánica y el tsunami del mes pasado.